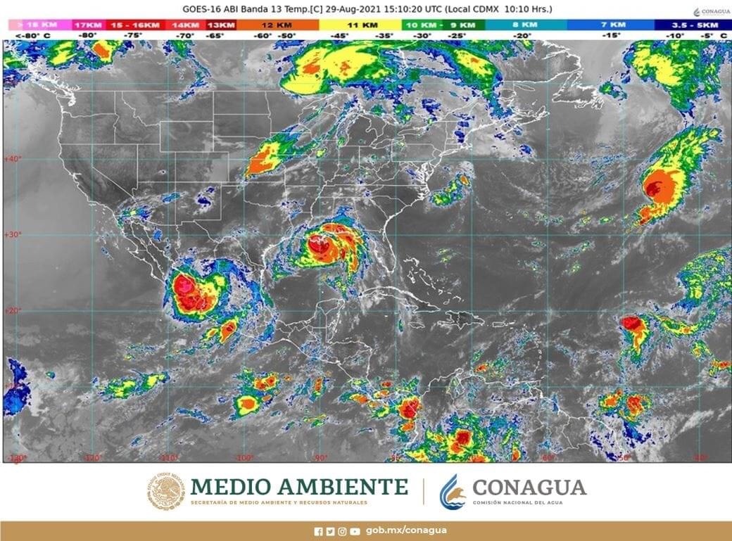
Esta mañana, el centro del huracán Nora se localizó en tierra a 10 km al norte de Mazatlán, Sinaloa.
Persistirán lluvias puntuales torrenciales en Nayarit y Sinaloa, y muy fuertes en Colima.
- El SMN, de la Conagua, exhorta a la población extremar precauciones por efectos del sistema frente a las costas de Colima, Guerrero, Jalisco, Michoacán, Nayarit y Sinaloa, así como en el Golfo de California.

A las 10:00 horas, tiempo del centro de México, el centro de Nora, huracán categoría 1 en la escala Saffir-Simpson, se localizó en tierra a 10 kilómetros (km) al norte de Mazatlán, Sinaloa, y a 360 km al este de Cabo San Lucas, Baja California Sur. Tiene vientos máximos sostenidos de 120 kilómetros por hora (km/h), rachas de 150 km/h y desplazamiento hacia el nor-noroeste a 17 km/h.
Durante las próximas horas, favorecerá lluvias puntuales torrenciales (de 150.1 a 250 milímetros [mm]) en Nayarit y Sinaloa; intensas (de 75.1 a 150 mm) en regiones de Baja California Sur, Durango, Guerrero, Jalisco, Michoacán y Sonora; muy fuertes (de 50.1 a 75 mm) en zonas Chihuahua, Colima y Estado de México; fuertes (de 25.1 a 50 mm) en localidades de Aguascalientes, Ciudad de México, Guanajuato, Hidalgo, Querétaro y Zacatecas.
También, prevalecerá el pronóstico de vientos con rachas de 110 a 130 km/h y oleaje de 4 a 6 metros (m) en las costas de Nayarit y Sinaloa, así como en el sur del Golfo de California; rachas de 80 a 100 km/h y oleaje de 3 a 5 m en las costas de Baja California Sur; rachas de 60 a 80 km/h con oleaje de 1 a 2 m en las costas de Jalisco y Sonora, y rachas de 50 a 60 km/h en Baja California, además de posible formación de trombas frente a las costas el sur de Baja California Sur y desde Michoacán hasta Sinaloa.
El Servicio Meteorológico Nacional (SMN), de la Comisión Nacional del Agua (Conagua), en coordinación con el Centro Nacional de Huracanes de Miami, mantiene activa zona de prevención por efectos de huracán desde San Blas, Nayarit, hasta Altata, Sinaloa; zona de vigilancia por efectos de huracán y zona de prevención por efectos de tormenta tropical desde Altata hasta Topolobampo, ambos en Sinaloa, y zona de vigilancia por efectos de tormenta tropical desde Cabo San Lucas hasta La Paz, en Baja California Sur.
Las lluvias generadas por Nora podrían provocar deslaves, incremento en los niveles de ríos y arroyos, y desbordamientos e inundaciones en zonas bajas, por lo que se exhorta a la población de los estados mencionados a atender los avisos del SMN y seguir las indicaciones de las autoridades estatales, municipales y de Protección Civil. A la navegación marítima se le hace un llamado a extremar precauciones por los efectos del sistema frente a las costas de Colima, Guerrero, Jalisco, Michoacán, Nayarit y Sinaloa, así como en el Golfo de California, durante este domingo.
También se pueden informar sobre las condiciones meteorológicas mediante las páginas de internet www.gob.mx/conagua y https://smn.conagua.gob.mx, en las cuentas de Twitter @conagua_mx y @conagua_clima, y de Facebook www.facebook.com/conaguamx, así como en la aplicación para dispositivos móviles ConaguaClima, donde se puede consultar el pronóstico por municipio.

Debe estar conectado para enviar un comentario.